| ID # | 923866 |
| Détails | extérieur: 0.05 acres Âge de l'annonce (DOM): 91 jours |
| Taxes (par an) | $6,732 |
![]() |
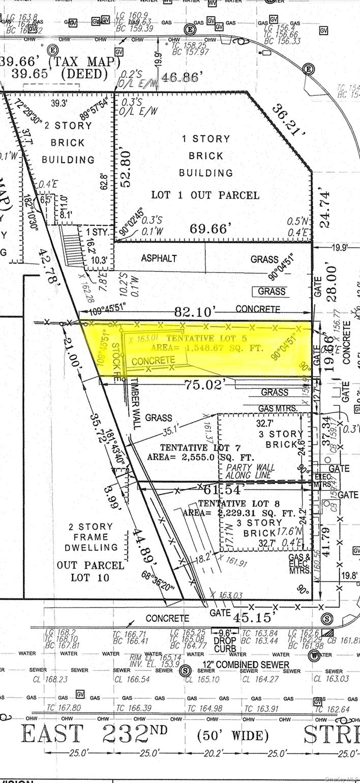
Rêve de développeurs ! Rare opportunité d'acheter un terrain vierge dans le Bronx, près des grandes autoroutes et des magasins. Avec ces classifications de zonage, vous ne pouvez construire que des maisons unifamiliales, des maisons bifamiliales ou des bâtiments multifamiliaux dans le zonage R5D. Le zonage C2-4 est un district de zonage commercial pour le commerce de détail local et les services locaux à New York. En tant que zone commerciale superposée, le C2-4 est cartographié dans les districts de zonage résidentiels, mais permet une utilisation commerciale. Potentiel pour un bâtiment à usage multiple.
Il s'agit d'un terrain de 3 6650 sq/ft avec un zonage R5D/C2-4.
Constructible jusqu'à 3 étages. Surface de plancher brute de 1 230 sq/ft.
Dimensions du terrain : Façade 25 pieds / Profondeur du terrain : 82,83 pieds.
Developers Dream! Rare opportunity to buy an untouched piece of real estate in the Bronx near major highways and shops. With these zoning classifications you can only build one family, two family homes, or multifamily buildings in R5D zoning. C2-4 Zoning is a Local Retail and Local Services Commercial Overlay Zoning District in NYC. As a commercial overlay C2-4 is mapped in residential Zoning Districts but allows for commercial use. Potential for a multi-use building.
This a 3,6650 sq/ft lot with an R5D/C2-4 zoning.
Buildable up to 3 floors. Gross floor area 1,230 sq/ft.
Lot dimensions: Frontage 25 ft / Lot Depth: 82.83 ft © 2025 OneKey™ MLS, LLC







